
販売事業Sales

クリンカアッシュ
当社では、相馬共同火力発電㈱と連携し石炭灰の有効利用を図るため、石炭灰の営業、販売、出荷を行っています。
クリンカアッシュの発生工程
クリンカアッシュ
石炭火力発電所では、石炭を燃焼する際に炉内温度が約1,300~1,600℃に達し、石炭中の灰分が溶融します。
この溶融した灰分がボイラ壁面に付着・成長し、ボイラ底部のクリンカホッパに落下して水で急冷・粉砕されたものがクリンカアッシュです。
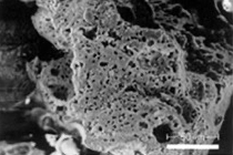
クリンカアッシュ

拡大

クリンカアッシュ電子顕微鏡写真(300倍)

クリンカアッシュの用途
軽量
通常の土より軽い特性を活かし、構造物の埋戻し材料として利用できます。
また、軟弱地盤の軽量盛土材として利用できます。

防波堤下層材

防波堤下層材

防波堤下層材
透水性
高い排水性を活かし、グラウンドやサッカー場の中層材として利用できます。

新地町総合運動公園グランド中層材

サッカー場中層材

相馬市光陽地区サッカー場
保水性
表面に無数の細孔が空いており、水分を多く含む特性を活かし、浄化槽の蒸発散処理施設の材料として利用できます。

常磐自動車道新地ICトイレ通気性土壌材
クリンカアッシュの材料特性
| 特性 | 項目 | クリンカアッシュ | 従来材料 |
|---|---|---|---|
特性 軽量特性 | 項目 単位体積重量 | クリンカアッシュ 1.0t/㎥ | 従来材料 砂質土 1.7t/㎥ |
特性 強度特性 | 項目 内部摩擦角 | クリンカアッシュ 35°以上 | 従来材料 砂質土 30° |
特性 透水特性 | 項目 透水係数 | クリンカアッシュ 10-3~10-2㎝/sec | 従来材料 砂質土 10-4~10-2㎝/sec |
特性 その他 | 項目 CBR値 | クリンカアッシュ 30%以上 | 従来材料 - |
防舷材
当社では、港湾施設において、桟橋と接岸する船舶との衝突を緩和する防舷材用パットを取り扱っております。
防舷材パットの断面を2層で色分けしており、摩耗による色の変化で交換時期を適切に判断できます。
製品名:「フラットパット」 UHMW-PE(超高分子ポリエチレン)
